MATERIAL TECHNOLOGY

KS550

ABOUT

伸びと被削性を兼ね備えた鋳鉄

引張強さ550N/mm2の強度、FCD450相当の伸び、そして被削性を兼ね備えた鋳鉄です。
特に表面加工に優れています。
☆引張強度と耐力の向上や伸びの向上、被削性の改善を目的とし、KS処理を施した材質です。

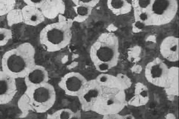
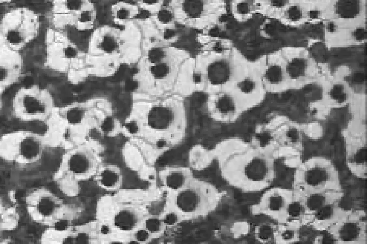
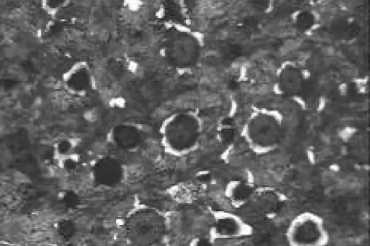
組織写真

Img

FCD450

Img

KS550

Img

FCD600

被削性

Img

機械的性質

材種 引張強度 耐力 伸び 硬度
KS550 550N/mm2以上 360N/mm2以上 10%以上 HB 179-235
FCD450 450N/mm2以上 280N/mm2以上 10%以上 HB 140~210
FCD500 500N/mm2以上 320N/mm2以上 7%以上 HB 150~230
FCD600 600N/mm2以上 370N/mm2以上 3%以上 HB 170~270
上へ